$ 800,000
–
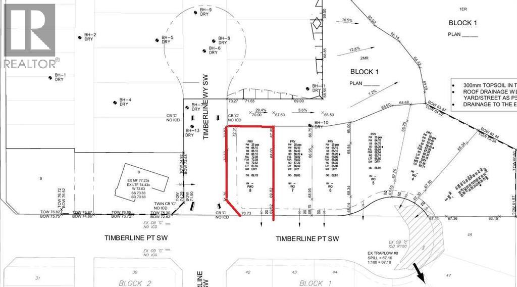
50 Timberline Point Southwest
This listing presented by
Daryl Carlson
. Contact Daryl by phone:
403-259-4141
or email direct
here
.
Overview
Print
Download
Contact Agent
Listing Info
Area:
Calgary
Property Type:
Vacant Land
Ownership:
Freehold
MLS® Number:
A2282544
Lot Size:
540
Listing Status:
Active
List Price:
$ 800,000
Download
Print