Daryl Carlson - 403-259-4141

 BACK  

Loading map...

Vacant Land in Airdrie

$3,699,000.00
116 RAILWAY Avenue Southwest - MLS® #: A2262136
  • (244)
  • 123
  • 104
  • 0 Bedrooms
  • 0 Bathrooms
  • - Sq Ft
avatar
Daryl Carlson
403-259-4141

Property Type

Vacant Land

Description

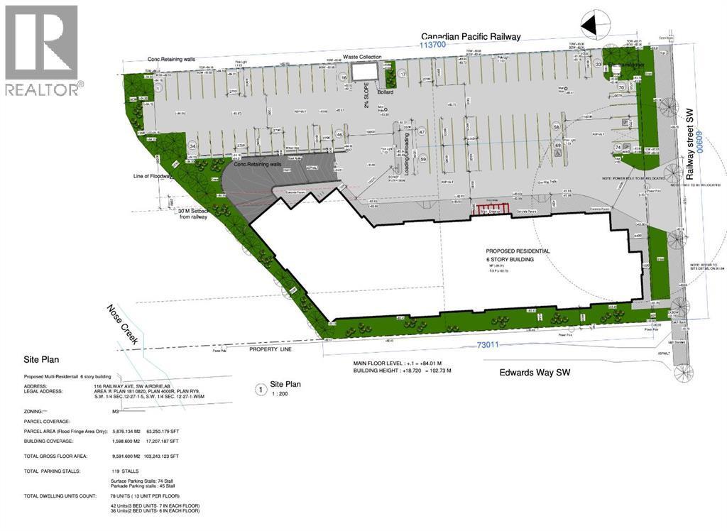
2.34 Acres of Vacant M-3 Zoned Land Prime multi-use site with an approved Development Permit for 78 residential units. Ideally located just east of Sobeys on Railway Avenue, surrounded by completed multifamily developments. A rare opportunity to launch your own construction project in a rapidly growing area. (id:6769

Property Details

Subarea
Downtown

Lot
2.25

Disclaimer:

a

Listing data last updated date: 2025-10-07 00:38:24

a

Listing Agent: Jay J. Walia

Brokerage: RE/MAX Real Estate (Mountain View)